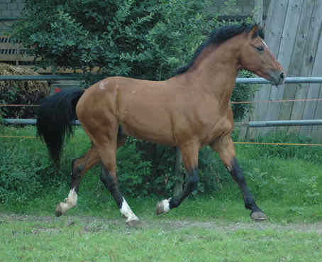
Neckar
- Vater: Népal
- Mutter: Java v. Enjoleur/ Chablon
- Stockmass: 156
- steht seit 2018 nicht mehr zur Zucht zur Verfügung
Suche nach ...
- 2013
- 2014
- 2015
- 2016
- 2017
- 2018
- 2019
- 2020
- 2022
- Aladin
- Alezan brulé
- Amazone
- Anfängerpferd
- Anglo Normanne
- Anreiten
- Bichette 125 FM
- C-Linie
- Cabaret
- Cabernet
- Cajoleur
- Cajoline
- Calisto
- Calva
- Calypso
- CamedodlSteF
- Camy
- Canada
- Canto vom Zälg
- Capriccho
- Capéo
- Caran d'Ache
- Caran d'Ache
- Cardinal
- Carlsson
- Cavaleur
- Chadow
- Charmant du Peupé
- Chaumanne
- Chianti
- CLF
- Closer
- CokaPetitcoeur
- Coldplay
- Cométe
- Cookies
- Cosimo
- CostardDeChatigani
- Coventry
- Crepuscule
- Cybelle
- D-Linie
- Damiano de Puits
- Daniela Häuptle
- Deutschland
- Discotte
- Doktryner
- Don Adonis
- Don Athos
- Don Caprio
- Don Fenaco
- Don Fernando
- Don Festino
- Don Flamingo
- Don Flavio
- Don Juan
- Don Linie
- Don Odin
- Don Ovan
- Don Pablo
- Don Perignon
- Douchka
- Dressur
- Dunkelfuchs
- E-Linie
- Ecossais
- Edifice
- Edoras
- Eiffel
- Eiger
- Einfahren
- Einkreuzung
- Elfique
- El Paso
- Elyo
- ElyseeII
- Elysee II
- Emerson
- Enjoleur
- Enrice
- Envol
- Epesses
- Epigenetik
- Equateur
- Equus Helveticus
- Erfahrungsberichte
- Eric Renaud
- Ernest
- Erode
- Escot
- Esperanzo
- Estafette
- Etendard
- Ethan
- Eucario
- Euredice
- Euro
- Everton
- Evian
- Evident
- Evita
- Expresso
- Fahrsport
- Fahrtraining
- Familie1Vaillant
- Familie3
- Familie4
- Familie4 Kermès
- Familie18
- Familie22Doktryner
- Familie23 Orson
- Familie24
- Familie26 Alsacien
- Farbzucht
- Feldtest
- Festina
- Final FM
- FM
- Fohlenschau
- Fremdblut
- Fritz Schmid
- Gavotte
- Genetik
- Glovelier
- H-Linie
- Halipot
- Haloa
- Hamlet
- Hanael
- HannibalVM
- Happy-Day
- Hara-Kiri
- Haribo
- Harmonieux
- Harrison
- Harthus
- Hartorius
- Hastragal
- Hastral
- Havane
- Havanie
- Hayden
- Helix
- Helloween
- Helsinki
- Helvética
- Hendrix
- Hengst
- Hengste
- Hengstlinien
- Hengstmutter
- Henrique
- Hermitage
- Hevron
- Hiloire
- Hiro
- Historique
- Historisches
- Hitch
- Hobby
- Hoby-Wan
- Hodler
- Hokaydo
- Holympe
- Holzrücken
- Hombre
- Hontario
- Horizon des Ouès
- Horlando
- Horléon vom Kappensand
- Houcine
- Hourasi
- Houston
- Hulax
- Hurrikan
- Hydromel
- Imprévu
- Interview
- Inzucht
- Ivoire
- Jarana
- Jiska
- Judäa
- Jura
- Jurassien
- Kutsche
- L
- L'Artiste
- L'Aura
- L-Linie
- Labelle
- Lambada
- Lambado Boy
- Landlord
- Laos
- Largo
- Larson
- Lasko
- Lasting
- LC
- Leader
- Legato
- Leon
- Leo Risch
- Libero
- Lilian
- Lilou
- Limoncello
- Lingo
- Lionel
- Little Boy
- Little Joe vom Meierhof
- Littoral
- Livio
- Louis
- Lovari
- Loxy
- Lugano
- Luna
- Luxeur
- Lyroi
- Malaisie
- Malice
- Malinéka
- Mandoline
- Marché Concours
- Margot
- Mazurka
- Merida
- Miss
- Mitochondrien
- N-Linie
- Nabor
- Nabucco
- Nachzucht
- Nadal
- Naoki
- Napero
- Narino
- Naska FW
- Nathan
- Natif des Aiges
- Nationalgestüt Avenches
- Natural
- Neckar
- Nectar
- Nejack
- Nelio
- NellDeCoeur
- Nello
- Nelly
- Neptune des Champs
- Never
- Neverboy
- Never BW
- Neverland
- Newton
- Niagara
- Nikito
- Nikos
- Nils du Sous-Bois
- Ninifee
- Ninjo HRE
- Niro
- Nirvana
- Nixon
- Noble Coeur
- Noctambus
- Nocturne
- Nolane
- Nolo
- Nonstop
- Nord du Peupé
- Nordica
- Norway
- Nostalgie
- Novac
- Novartis
- Noé
- NPZ
- Néco
- Népal
- Orient
- P-Linie
- Palme d'Or
- Petitcoeur Coka
- Pferdekauf
- Pourquoi Pas
- Pourquoi Pas dCV
- Prada
- Prunelle
- Q-Linie
- Quarex
- Quasanova de Jasman
- Quebec
- Que d'Espoire
- Queens
- Quendal
- Queshya
- Qui-Sait
- Quinn
- Quinto
- Quistar
- Quitus
- Quyara
- Quésac
- R-Linie
- Rappe
- Redaktor
- Rico
- Rothschild
- Samira
- Schimmel
- Schwand
- Schweiz
- Selle francais
- Socrate
- Springen
- Stammzuchtbuch
- Stationstest
- Stute
- Stübben Derby
- Termine
- Therapiepferd
- Trevis
- U-Linie
- UniqueD'Avril
- Uran
- Ursprung
- V-Linie
- Vaillant
- Vako
- Valentino
- Valenzio
- Vartan
- Verwandtschaftsgrad
- Verwandtschaftskoeffizient
- Vitali
- Vol de Nuit
- Vollblutaraber
- Voltigeur
- Volvic
- Vreni Schmid
- Warmblut
- Western
- Wolf
- Zucht
